Ставрополь, миттельша Изабелла, 7 лет

Краткая ветеринарная информация по подопечным Фонда помощи шнауцерам (выжимка без обсуждений)

Модератор: Модераторы регистратуры

Ответить
  • Автор
  • Сообщение
Не в сети
Аватара пользователя
Сообщения: 12485
Зарегистрирован: 02 ноя 2017, 12:27
Откуда: Санкт-Петербург
Благодарил (а): 6285 раз
Поблагодарили: 24061 раз

Ставрополь, миттельша Изабелла, 7 лет

Сообщение friedlein »

Основная тема viewtopic.php?t=15745
Вложения
IMG-20241115-WA0010.jpg
IMG-20241115-WA0011.jpg
IMG-20241115-WA0013.jpg
IMG-20241115-WA0009.jpg
IMG-20241115-WA0012.jpg
_________________
Добрым словом и пистолетом можно добиться гораздо большего, чем просто добрым словом.

Не в сети
Аватара пользователя
Сообщения: 10292
Зарегистрирован: 14 июл 2009, 17:00
Откуда: Беларусь, Минск
Благодарил (а): 5284 раза
Поблагодарили: 2158 раз

Re: Ставрополь, сбитая машиной миттельша

Сообщение Юлга »

WhatsApp Image 2024-11-17 at 19.51.10.jpeg
WhatsApp Image 2024-11-17 at 19.50.05.jpeg
_________________
«О величии народа можно судить по его отношению к животным» Махатма Ганди

Не в сети
Аватара пользователя
Сообщения: 12485
Зарегистрирован: 02 ноя 2017, 12:27
Откуда: Санкт-Петербург
Благодарил (а): 6285 раз
Поблагодарили: 24061 раз

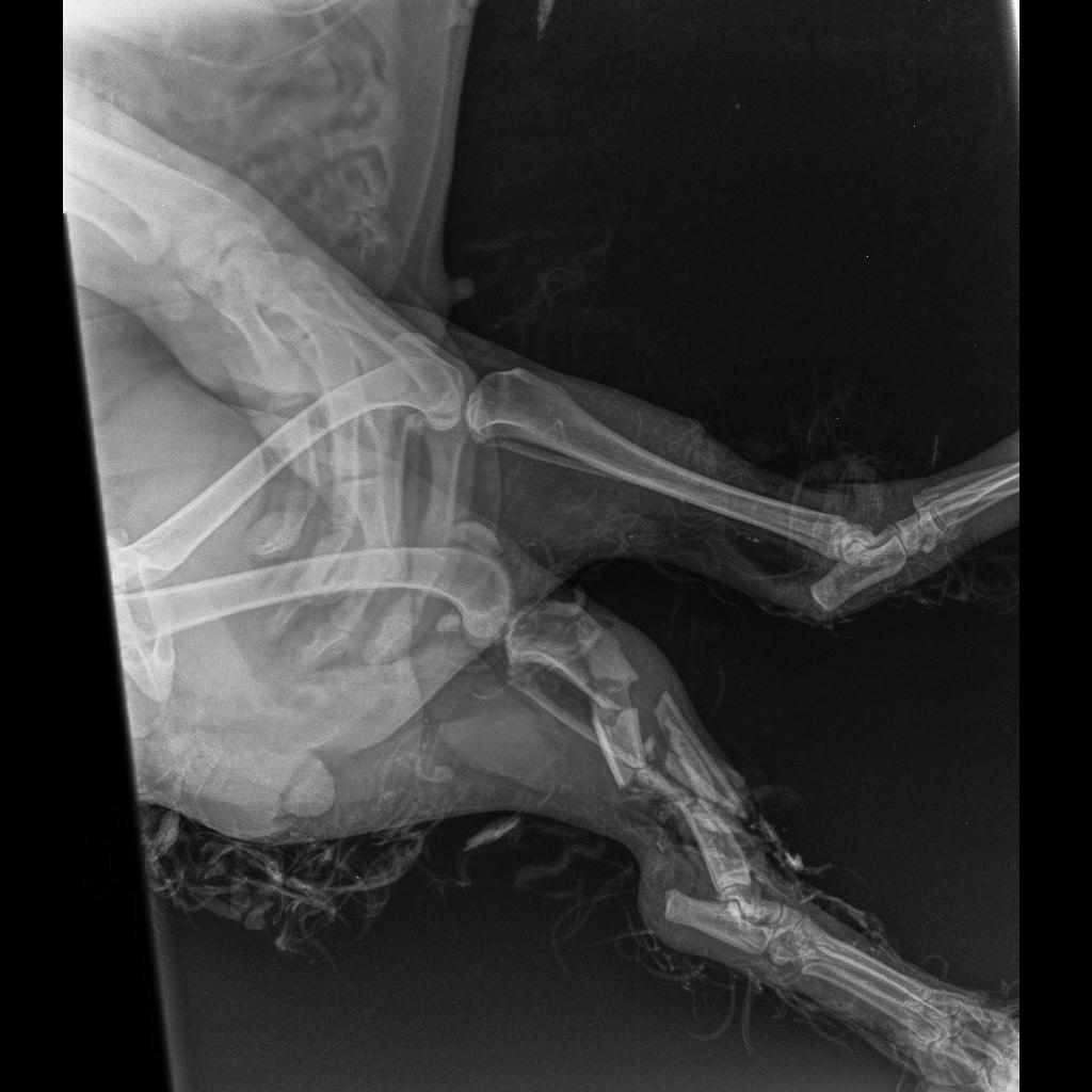
Re: Ставрополь, сбитая машиной миттельша

Сообщение friedlein »

Рентген
Вложения
IMG-20241120-WA0058.jpg
IMG-20241120-WA0056.jpg
IMG-20241120-WA0057.jpg
_________________
Добрым словом и пистолетом можно добиться гораздо большего, чем просто добрым словом.

Не в сети
Аватара пользователя
Сообщения: 12485
Зарегистрирован: 02 ноя 2017, 12:27
Откуда: Санкт-Петербург
Благодарил (а): 6285 раз
Поблагодарили: 24061 раз

Re: Ставрополь, миттельша Изабелла, 7 лет

Сообщение friedlein »

выписка после операции
Вложения
WhatsApp Image 2024-11-21 at 14.15.45.jpeg
_________________
Добрым словом и пистолетом можно добиться гораздо большего, чем просто добрым словом.

Не в сети
Аватара пользователя
Сообщения: 12485
Зарегистрирован: 02 ноя 2017, 12:27
Откуда: Санкт-Петербург
Благодарил (а): 6285 раз
Поблагодарили: 24061 раз

Re: Ставрополь, миттельша Изабелла, 7 лет

Сообщение friedlein »

Ветпаспорт
Прививка биокан 14.12.2024
Вложения
IMG20250420221212.jpg
IMG20250420221230.jpg
IMG20250420221223.jpg
IMG20250420221245.jpg
_________________
Добрым словом и пистолетом можно добиться гораздо большего, чем просто добрым словом.

Не в сети
Аватара пользователя
Сообщения: 12485
Зарегистрирован: 02 ноя 2017, 12:27
Откуда: Санкт-Петербург
Благодарил (а): 6285 раз
Поблагодарили: 24061 раз

Re: Ставрополь, миттельша Изабелла, 7 лет

Сообщение friedlein »

Реабилитолог
Вложения
IMG-20250430-WA0006.jpg
_________________
Добрым словом и пистолетом можно добиться гораздо большего, чем просто добрым словом.

Не в сети
Аватара пользователя
Сообщения: 3487
Зарегистрирован: 29 окт 2011, 19:47
Откуда: Санкт-Петербург
Благодарил (а): 2537 раз
Поблагодарили: 687 раз

Re: Ставрополь, миттельша Изабелла, 7 лет

Сообщение Nastas'ya »

Онколог
IMG_20251225_060608.jpg
IMG_20251225_060553.jpg
IMG_20251225_060537.jpg
_________________
От того, как ты посмотришь, зависит то, что ты увидишь!

Не в сети
Аватара пользователя
Сообщения: 3487
Зарегистрирован: 29 окт 2011, 19:47
Откуда: Санкт-Петербург
Благодарил (а): 2537 раз
Поблагодарили: 687 раз

Re: Ставрополь, миттельша Изабелла, 7 лет

Сообщение Nastas'ya »

Чипирована, привита Мультикан 8.
Чип 643078001252087
_________________
От того, как ты посмотришь, зависит то, что ты увидишь!

Не в сети
Аватара пользователя
Сообщения: 3487
Зарегистрирован: 29 окт 2011, 19:47
Откуда: Санкт-Петербург
Благодарил (а): 2537 раз
Поблагодарили: 687 раз

Re: Ставрополь, миттельша Изабелла, 7 лет

Сообщение Nastas'ya »

Сходили к ортопеду
IMG_20260112_184014.jpg
20260112181251.jpg
20260112181315.jpg
_________________
От того, как ты посмотришь, зависит то, что ты увидишь!

Не в сети
Аватара пользователя
Сообщения: 3487
Зарегистрирован: 29 окт 2011, 19:47
Откуда: Санкт-Петербург
Благодарил (а): 2537 раз
Поблагодарили: 687 раз

Re: Ставрополь, миттельша Изабелла, 7 лет

Сообщение Nastas'ya »

Эхо сердца перед стерилизацией.
IMG_20260130_182921.jpg
IMG_20260130_182829.jpg
_________________
От того, как ты посмотришь, зависит то, что ты увидишь!

Не в сети
Аватара пользователя
Сообщения: 3487
Зарегистрирован: 29 окт 2011, 19:47
Откуда: Санкт-Петербург
Благодарил (а): 2537 раз
Поблагодарили: 687 раз

Re: Ставрополь, миттельша Изабелла, 7 лет

Сообщение Nastas'ya »

Анализ крови.
IMG_20260212_204852.jpg
_________________
От того, как ты посмотришь, зависит то, что ты увидишь!
Ответить

Вернуться в «Регистратура»